8
$13.50 Rent
Listed 2 hours ago
156 Willmott Street, #3
· 0
· 0
· -
· -
Listing History
Buy/Sell/Terminated/Expired listing history for 156 Willmott Street, #3
Key Facts
Key facts for 156 Willmott Street, #3
Property Type
Commercial
Parking
None
MLS #
X12449280
Size
-
Basement
-
Listed on
2025-10-07
Lot size
367 x 480.0
Tax
-
Days on Market
1
Approximate Age
New
Maintenance Fee
-
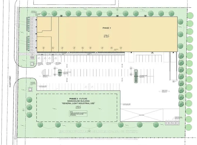
Description
Brand new light Industrial up to 4,000 sq ft. Near completion. Located in the Lucas Point Industrial Park. This prime "build-to-suit" opportunity in the growing town of Cobourg is just minutes away from the 401, this newly developing site offers effortless accessibility, making it a compelling choic...e for any business looking to get into this rapidly-growing community. Zoning permits a large range of uses. Offers one Truck Level Door and one Grade Level Door. Reach out and let us know how we can help accommodate your business.
Similar Properties (No results)
Courtesy of: RE/MAX HALLMARK FIRST GROUP REALTY LTD.